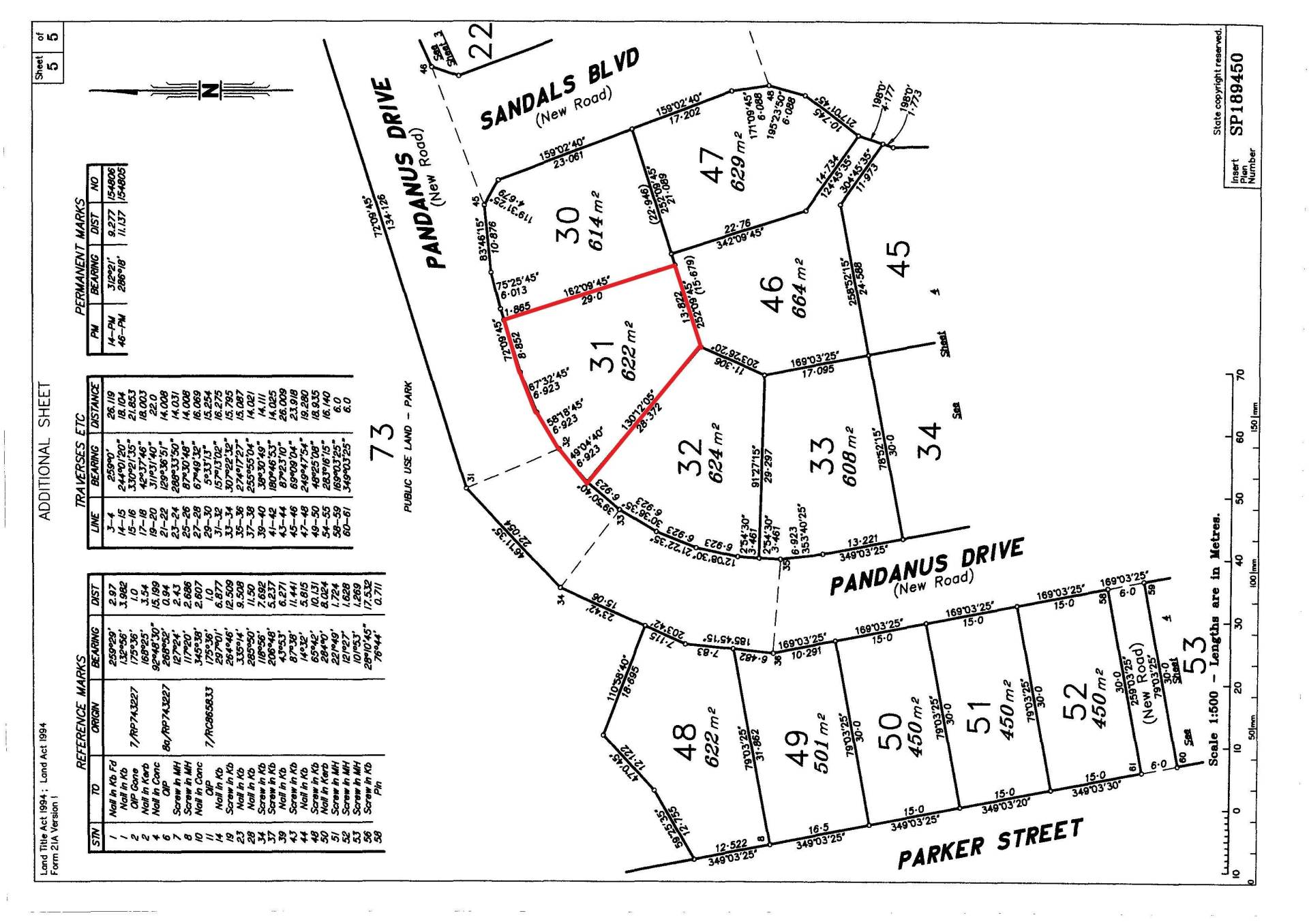
Residential land with parkland views

Between the beach and this residential lot is only parkland, providing lovely views to the north that can't be built out and which make it feel much larger than its 622m2.

The shape is ideal to maximise the views and services are all available - with mains sewer connection to the rear of the block and underground power and town water in the street. 

There's a scenic boardwalk track through the nearby conservation park to the beach where there's a great selection of cafes, restaurants, bars and shops as well as regular markets and watersports. 

With land this close to the beach now a scarce commodity, this block won't last long! 

 

This information has been provided to us by third parties and we do not accept any responsibility for its accuracy. You should make your own enquiries and check the information so as to determine whether or not this information is in fact accurate. You must make your own assessment and obtain professional advice if necessary.

622 m2
Address 19 Pandanus Dr, Horseshoe Bay
Price SOLD for $250,000
Property Type Residential
Property ID 1640
Category Vacant Land
Land Area 622 m2

Agent Details

Alex Strens photo

Alex Strens

0429 079 429
View Profile