Under Contract

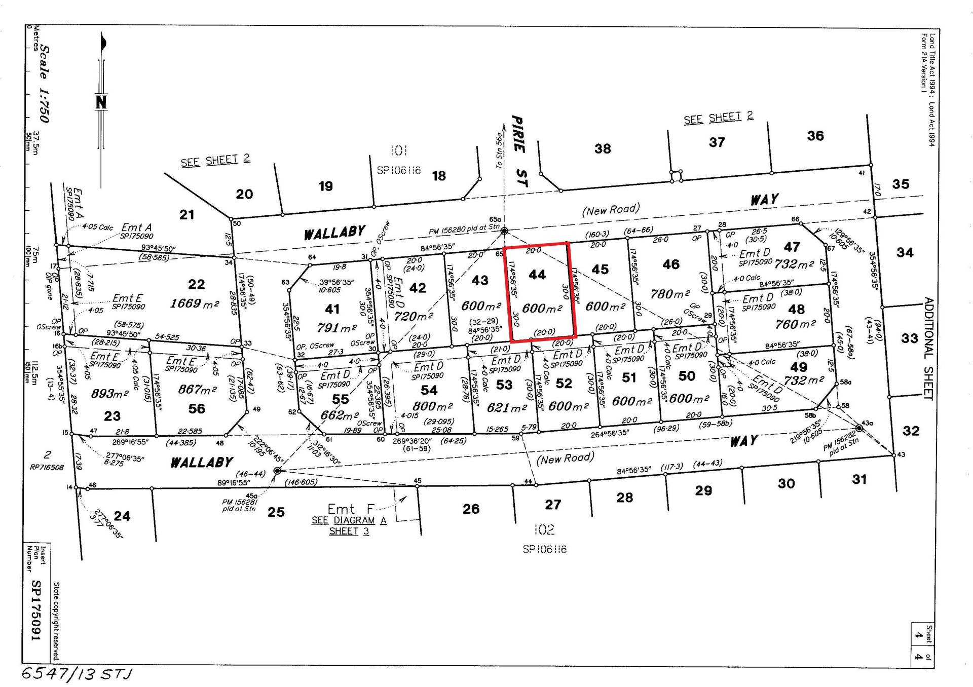
600m2 sloping lot with established trees

This 600m2 lot offers you the opportunity to build your island home in a quiet, elevated and breezy street away from the busier beachfront area. Wallaby Way is a pleasant street with modern homes which wallabies, birdlife and koalas all call home. It's approx 1.5km to the beach and a 8-10 minute drive to the ferry terminal, supermarkets, schoole etc in Nelly Bay.

Horseshoe Bay is popular due to its sandy north-facing beach with year-round swimming and watersports, a great selection of shops, cafes and restaurants, pub and regular markets. 

This information has been provided to us by third parties and we do not accept any responsibility for its accuracy. You should make your own enquiries and check the information so as to determine whether or not this information is in fact accurate. You must make your own assessment and obtain professional advice if necessary.

600 m2
Address 3 Wallaby Way, Horseshoe Bay
Price Under Contract
Property Type Residential
Property ID 1525
Category Vacant Land
Land Area 600 m2

Agent Details

Alex Strens photo

Alex Strens

0429 079 429
View Profile