Mountain View Residential Land

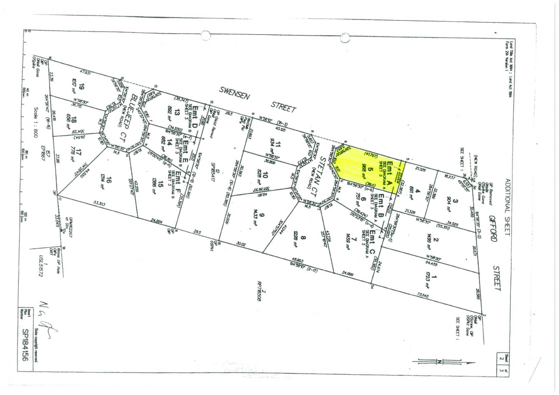
Tucked away in a quiet corner of Horseshoe Bay is this large 968m2 corner block offering beautiful mountain views on three sides and ideally located to capture both the northerly and south-easterly breezes.
Town water, power and sewer connection available.
Build your dream island home here with room for pool, gardens, shed - whatever your heart desires!
Horseshoe Bay offers an array of activities with watersports, markets and of course a superb selection of cafes and restaurants. All less than ten minutes drive from the ferry terminal.

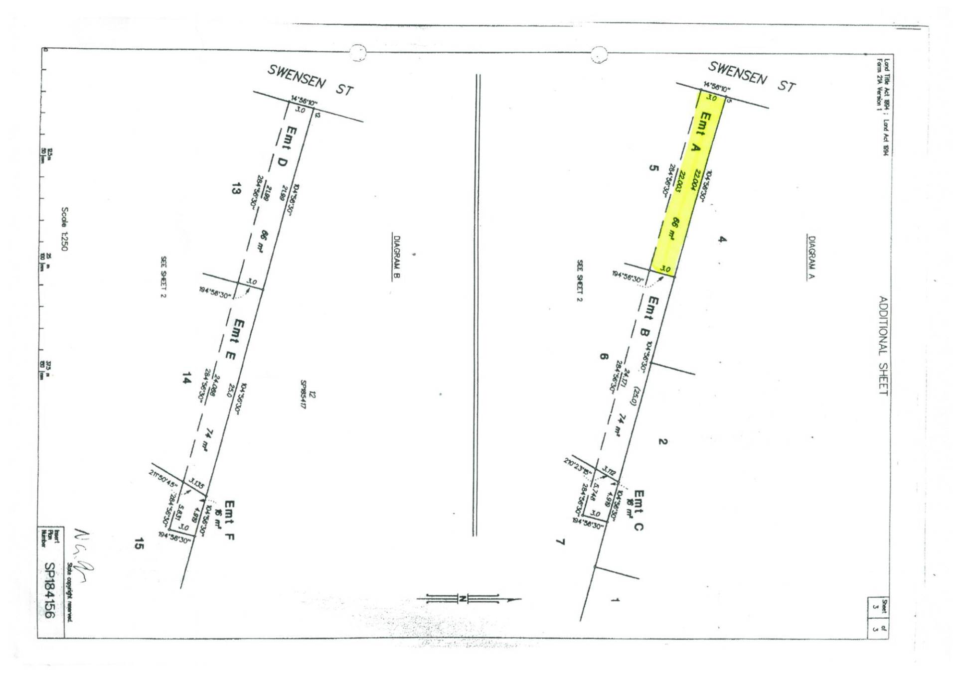
968 m2
Address 1 Stetan Court, Horseshoe Bay
Price SOLD for $170,000
Property Type Residential
Property ID 1344
Category Vacant Land
Land Area 968 m2

Agent Details

Alex Strens photo

Alex Strens

0429 079 429
View Profile