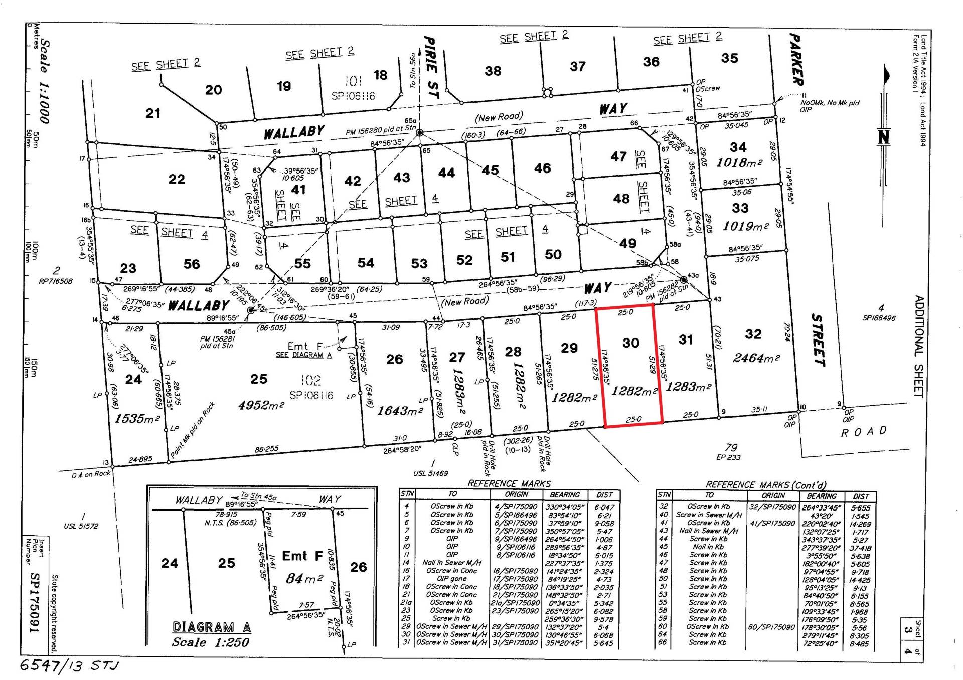
1282m2 elevated home site

This 1282m2 on Wallaby Way offers a relatively level build site in a well-elevated area. The pine trees can be used as natural landscaping and with large gaps between them, there's an opportunity to build a really interesting property in amongst the trees or clear a larger area but retain some trees to provide a natural established boundary and shade. 

Underground power, water and sewer are available in the street.

Wallaby Way captures both the south-easterly and northerly breezes well and is just 1.5km approx from the beach. It's also approx ten minutes drive to the ferry terminal and school. 

Horseshoe Bay is popular with residents and holiday-makers, with its sandy swimming beach, watersports, regular markets and a good selection of shops, cafes and restaurants. 

 

 

This information has been provided to us by third parties and we do not accept any responsibility for its accuracy. You should make your own enquiries and check the information so as to determine whether or not this information is in fact accurate. You must make your own assessment and obtain professional advice if necessary.

1,282 m2
Address 18 Wallaby Way, Horseshoe Bay
Price SOLD for $140,000
Property Type Residential
Property ID 1132
Category Vacant Land
Land Area 1,282 m2

Agent Details

Alex Strens photo

Alex Strens

0429 079 429
View Profile